HWY 550 & RR155 RR155Rural Newell, County of, AB T0J 0B5



Mortgage Calculator
Monthly Payment (Est.)
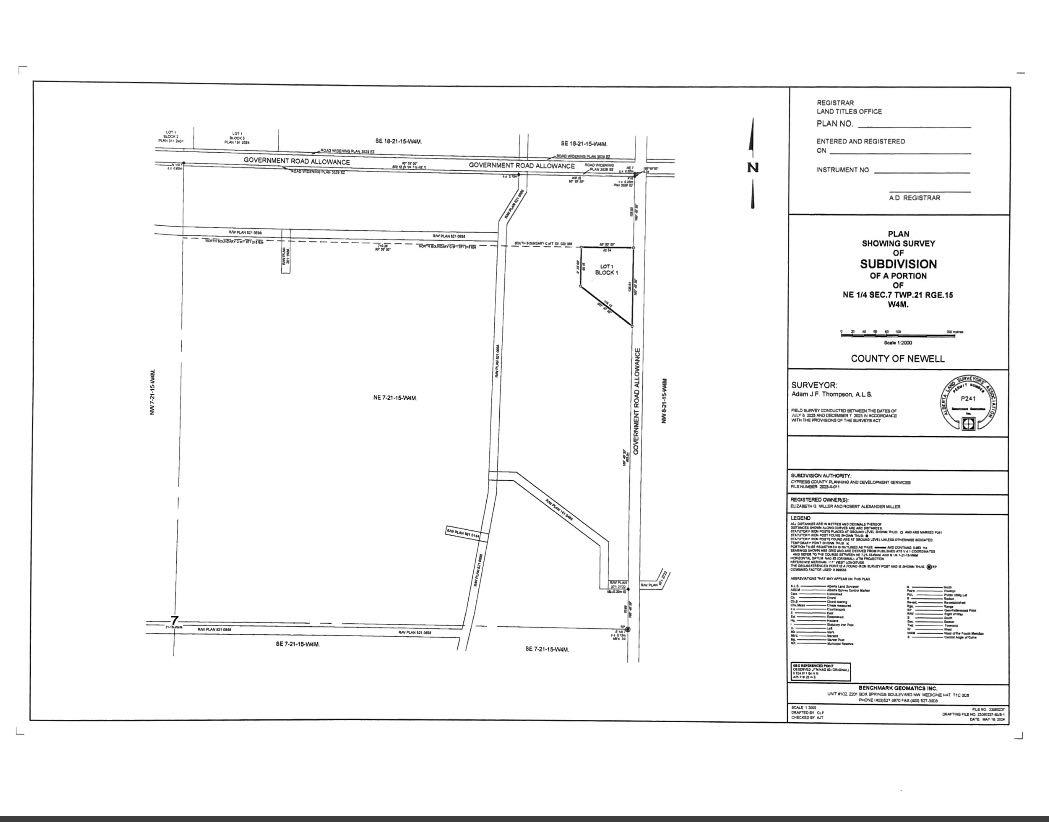
$360BRING US AN OFFER! Have you been watching the market for an acreage building parcel with good access, an attractive year round view, privacy & utilities close by? Maybe you need a getaway from the city & a quiet, private place to park your RV or build a base camp for hunting in the County of Newell? Your patience has paid off. Just 7 minutes to Rosemary, on well maintained roads nearly all on pavement. Power, natural gas, & regional water are all in close proximity. $7000 Household water connection fee to EID has been paid which will deliver irrigation water for seasonal use to your property once are are connected to the system. Nearby residences have water wells or regional water for year round household use. Potential for walk-out home design with desirable elevation changes on parcel. The world is your oyster to build your dream shop, have boat & RV storage, garden & some critters. This parcel is quiet & private with 1 nearby residential neighbour to the North. Subdivision has been approved & is in process for registration with Alberta Land Titles. Please consult County of Newell Land Use Bylaw for permitted & discretionary uses of Residential Rural zoned land. Along with purchase of land, Seller would consider long term lease of additional land for pasture, dug out access, garden space & more. Don't miss this, we aren't making more land!
| 4 months ago | Price changed to $78,900 | |
| 4 months ago | Listing updated with changes from the MLS® | |
| 12 months ago | Listing first seen on site |
Listing information is provided by Participants of the Alberta One Realty Listing Services (Pillar 9). IDX information is provided exclusively for personal, non-commercial use, and may not be used for any purpose other than to identify prospective properties consumers may be interested in purchasing. Information is deemed reliable but not guaranteed. Copyright 2026, Alberta One Realty Listing Services (Pillar 9)
Last checked 2026-01-31 11:27 AM UTC



Did you know? You can invite friends and family to your search. They can join your search, rate and discuss listings with you.