Save
Ask
Tour
Hide
Share
$148,200
1106 Days On Site
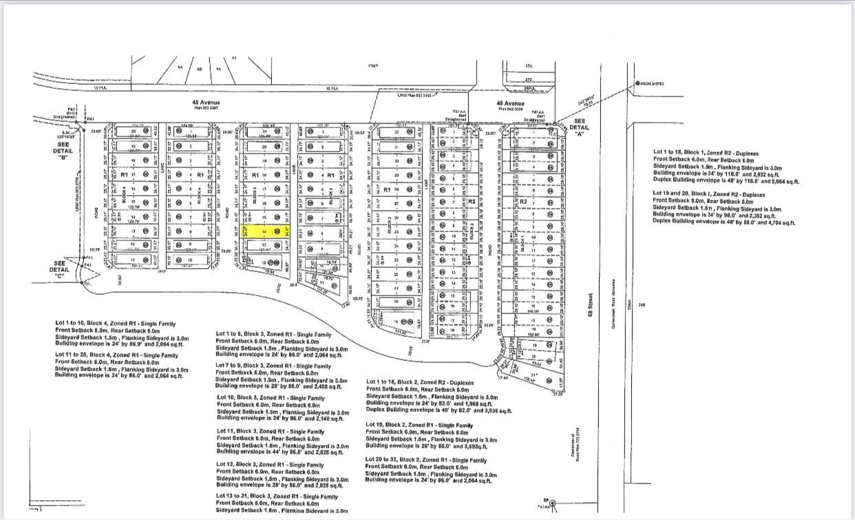
4720 68 StreetCamrose, AB T4V 2P7
For Sale|Land|Active
Subdivision:
West Park
County:
Camrose
Call Now: 587-871-4523
Is this the listing for you? We can help make it yours.
587-871-4523



Save
Ask
Tour
Hide
Share
Mortgage Calculator
Monthly Payment (Est.)
$676Calculator powered by Showcase IDX, a Constellation1 Company. Copyright ©2026 Information is deemed reliable but not guaranteed.
Photos
Map
Nearby Listings
Welcome to West Park's newest development....Lakeside!!! This development is situated close to shopping and dining. You can access the walking path along the lake and build your own home! Don't miss out on an amazing opportunity in 2026.
Save
Ask
Tour
Hide
Share
Listing Snapshot
Price
$148,200
Days On Site
1106 Days
Bedrooms
N/A
Inside Area (SqFt)
N/A
Total Baths
N/A
Full Baths
N/A
Partial Baths
N/A
Lot Size
0.1 Acres
Year Built
N/A
MLS® Number
A2016935
Status
Active
Property Tax
N/A
HOA/Condo/Coop Fees
N/A
Sq Ft Source
N/A
Friends & Family
React
Comment
Invite
Recent Activity
| 3 months ago | Price changed to $148,200 | |
| 3 months ago | Listing updated with changes from the MLS® | |
| 3 years ago | Listing first seen on site |
General Features
Acres
0.1
Zoning
R1
Save
Ask
Tour
Hide
Share
Exterior Features
Frontage
10.36M 34`0"
Listing courtesy of Tracy Brandingen of RE/MAX Real Estate (Edmonton) Ltd.
Listing information is provided by Participants of the Alberta One Realty Listing Services (Pillar 9). IDX information is provided exclusively for personal, non-commercial use, and may not be used for any purpose other than to identify prospective properties consumers may be interested in purchasing. Information is deemed reliable but not guaranteed. Copyright 2026, Alberta One Realty Listing Services (Pillar 9)
Last checked 2026-01-31 02:17 PM UTC
Listing information is provided by Participants of the Alberta One Realty Listing Services (Pillar 9). IDX information is provided exclusively for personal, non-commercial use, and may not be used for any purpose other than to identify prospective properties consumers may be interested in purchasing. Information is deemed reliable but not guaranteed. Copyright 2026, Alberta One Realty Listing Services (Pillar 9)
Last checked 2026-01-31 02:17 PM UTC
Neighborhood & Commute
Source: Walkscore
Disclosure: Community information and market data powered by Constellation Data Labs. Information is deemed reliable but not guaranteed.
Save
Ask
Tour
Hide
Share



Did you know? You can invite friends and family to your search. They can join your search, rate and discuss listings with you.