Save
Ask
Tour
Hide
Share
$399,900
1551 Days On Site
0 0Peace River, AB T8S 1S4
For Sale|Land|Active
County:
Peace No. 135, M.D. of
Call Now: 587-871-4523
Is this the listing for you? We can help make it yours.
587-871-4523



Save
Ask
Tour
Hide
Share
Mortgage Calculator
Monthly Payment (Est.)
$1,825Calculator powered by Showcase IDX, a Constellation1 Company. Copyright ©2026 Information is deemed reliable but not guaranteed.
Photos
Map
Nearby Listings
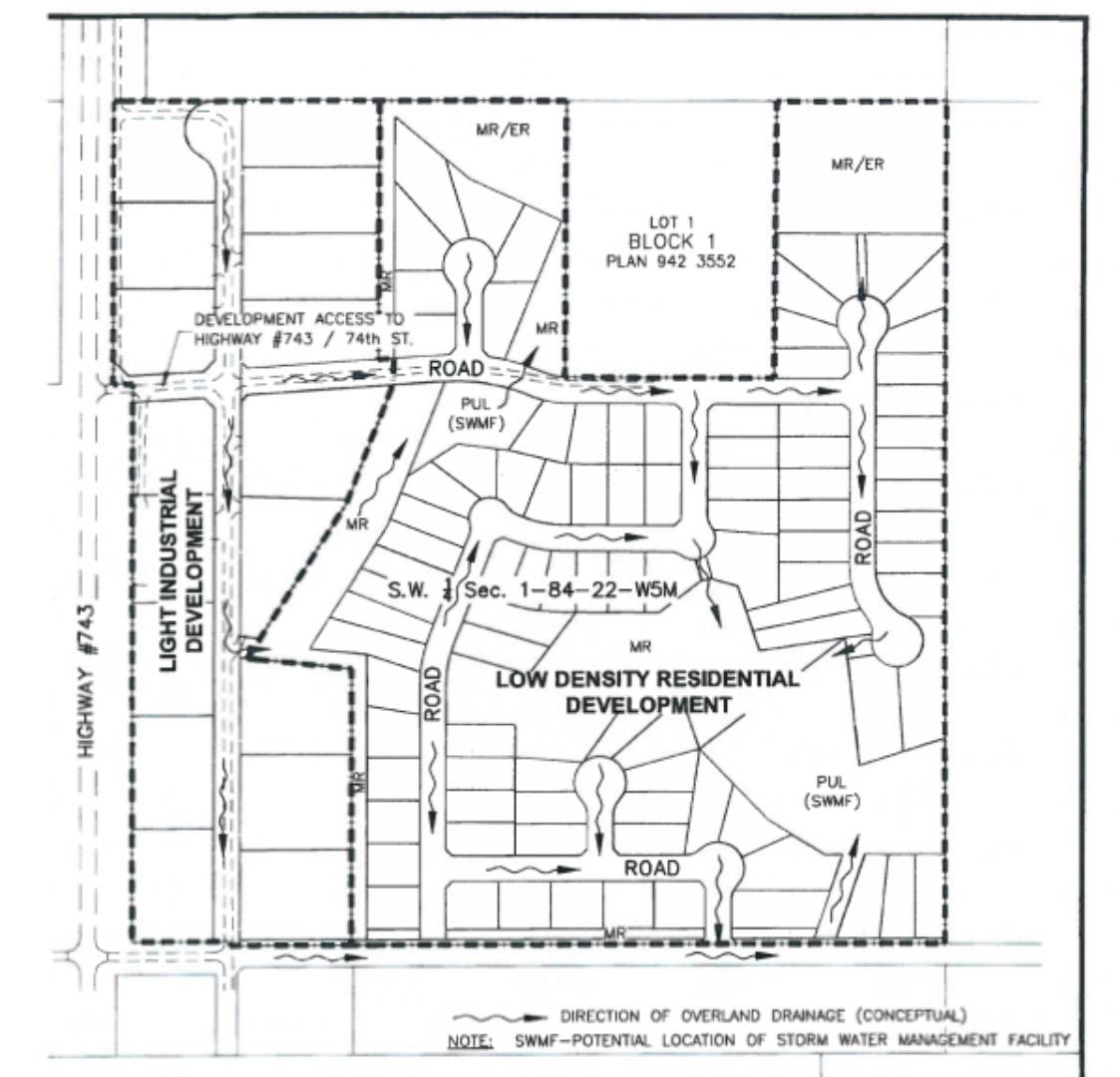
ENDLESS OPPORTUNITIES!!!! This 78 Acre Parcel is up for grabs, overlooking the town of Peace River and its beautiful valley! Perfect location to build the home of your dreams! This parcel also has a structure plan to be developed into 85 low-density residential lots! Offer must be pending Developers subdividing of the subject property.
Save
Ask
Tour
Hide
Share
Listing Snapshot
Price
$399,900
Days On Site
1551 Days
Bedrooms
N/A
Inside Area (SqFt)
N/A
Total Baths
N/A
Full Baths
N/A
Partial Baths
N/A
Lot Size
78.97 Acres
Year Built
N/A
MLS® Number
A1158968
Status
Active
Property Tax
N/A
HOA/Condo/Coop Fees
N/A
Sq Ft Source
N/A
Friends & Family
React
Comment
Invite
Recent Activity
| 4 years ago | Status changed to Active | |
| 4 years ago | Listing updated with changes from the MLS® | |
| 4 years ago | Listing first seen on site |
General Features
Acres
78.97
Zoning
R-VE
Save
Ask
Tour
Hide
Share
Community Features
Township
84
Listing courtesy of Walker Cote of Sutton Group Grande Prairie Professionals
Listing information is provided by Participants of the Alberta One Realty Listing Services (Pillar 9). IDX information is provided exclusively for personal, non-commercial use, and may not be used for any purpose other than to identify prospective properties consumers may be interested in purchasing. Information is deemed reliable but not guaranteed. Copyright 2026, Alberta One Realty Listing Services (Pillar 9)
Last checked 2026-01-31 12:02 PM UTC
Listing information is provided by Participants of the Alberta One Realty Listing Services (Pillar 9). IDX information is provided exclusively for personal, non-commercial use, and may not be used for any purpose other than to identify prospective properties consumers may be interested in purchasing. Information is deemed reliable but not guaranteed. Copyright 2026, Alberta One Realty Listing Services (Pillar 9)
Last checked 2026-01-31 12:02 PM UTC
Neighborhood & Commute
Source: Walkscore
Disclosure: Community information and market data powered by Constellation Data Labs. Information is deemed reliable but not guaranteed.
Save
Ask
Tour
Hide
Share



Did you know? You can invite friends and family to your search. They can join your search, rate and discuss listings with you.